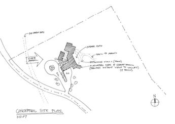
The Loyd Residence is a 4000 sf house with separate guest quarters located just outside of Santa Fe, NM. This residential project, which is currently under construction, is situated to take advantage of 360 degree views. Each living area has a unique view, either toward the Sandia mountains in the distance, pinon covered hills in the foreground, or to a nearby canyon. The design, which is unequivocally contemporary, respects the indigenous traits of the Santa Fe style. A unique entry sequence brings visitors through a narrow gap to discover a private courtyard flanked by the main entry and the exterior entries of two guest rooms. The informal arrangement strengthens ties to the Santa Fe heritage and welcomes newcomers to the abode.
Process
Diagrams
Plans
Sections
Elevations
Renderings



































